MLS®# SK007399

Shade Tree 96 Acres

$3,000,000.00 CAD
Edenwold Rm No.158
MLS®# SK007399


Location


Key Details

$3,000,000.00
Edenwold Rm No.158

Description

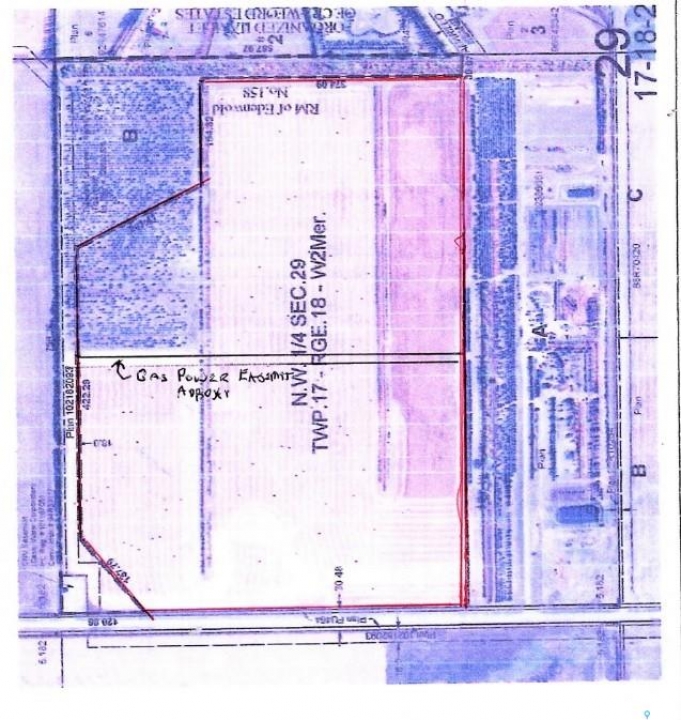
Exceptional Land Investment Opportunity – 96 Acres East of Regina! An incredible chance to secure 96 acres of strategically located land just minutes east of Regina on Gravel Pit Road (Range Road 2185). This prime parcel is ideally situated between two major transportation corridors—Highway #1 and Highway #46—offering excellent access and visibility. Surrounded by light industrial development to the north and south, this property holds immense future potential. Currently zoned agricultural and part of the RM of Edenwold's long-term community planning area, this parcel presents a range of development possibilities. Interested parties are encouraged to consult the RM Planning Department regarding zoning bylaws, development applications, and future land use. The land is gently rolling and well-drained, featuring natural treed buffers along its borders. Utilities, including natural gas and power, are accessible from the northwest boundary and already extend through the center of the site to a neighboring acreage. Currently leased for farming, crop rights remain with the tenant for the 2024 season. Located close to all essential amenities including gas stations, hotels, and shopping, this property offers both immediate use and long-term value. For more details or to arrange a viewing, please contact your real estate professional.

Listing courtesy of Re/max Crown Real Estate


More Info

City: Edenwold Rm No.158
Outdoor: Trees/shrubs
Bush: Shelter Belt
Land Size: 96.71
Sewage Disposal: None

Sloughs: None
Topography: Gently Rolling
Total Acres: 96.7100
Sub Area: Pilot Butte
Listed By: Re/max Crown Real Estate